Tanah sunset road kuta badung bali

Sunset road, Badung, Bali

Rp 900.000.000 / Are

Dijual

20 views

4839.00 m²

Luas Tanah

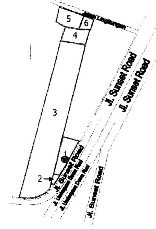
Deskripsi

Dijual Tanah Sunset road Badung Bali
Tembus sampai depan Kantor notaris Hartono
Luas tanah 4839m2
Lebar 34 meter
6 Shm ( 3.670, 30 ,395 ,294 ,110 ,340 )
ITR Perdagangan & jasa
Akses jalan utama

Harga 900 juta / are
Informasi Property
  • Tipe: Tanah
  • Kategori: Tanah
  • Status: Dijual
  • Kota: Badung
  • Provinsi: Bali
  • Dilihat: 20 kali

Kirim Penawaran

Link Iklan: https://www.dev.aditpropertybali.com/properties/tanah-sunset-road-kuta-badung-bali

Property Terkait

Tanah Badak 1 Renon sumerta Kelod Denpasar Dijual
Tanah Badak 1 Renon sumerta Kelod Denpasar

Denpasar

Rp 1.700.000.000 / Are
Tanah tebing pantai green bowl jimbaran Dijual
Tanah tebing pantai green bowl jimbaran

badung

Rp 1.500.000.000 / Are
Tanah murah tebing pantai green bowl jimbaran Dijual
Tanah sudirman denpasar Dijual
Tanah sudirman denpasar

denpasar

Rp 2.500.000.000 / Are